阿拉善左旗自然資源局內蒙古西域金銀有限公司黃金貴金屬精煉項目申請調整規劃設計方案公示
為了充分發揮市民在城鄉規劃管理中的作用,實施陽光規劃,提高規劃的透明度,維護市民對城鄉規劃的知情權、監督權,提高城鄉規劃水平及公眾參與程度。根據有關法律、法規規定,現將規劃方案公示如下:
一、項目名稱:內蒙古西域金銀有限公司黃金貴金屬精煉項目
二、建設位置:巴彥浩特鎮烏力吉路大漠奇石博物館北側。
三、建設單位:內蒙古西域金銀有限公司
四、調整規劃設計方案對比:
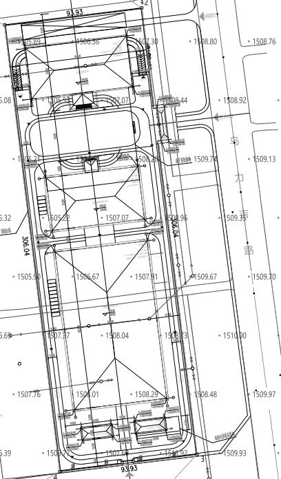
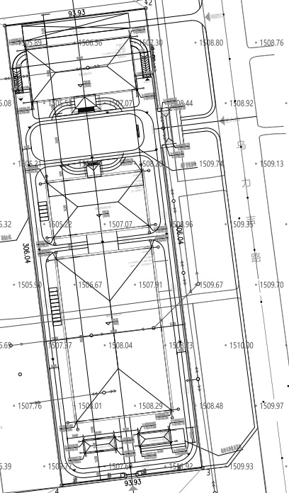
原審批規劃指標:項目規劃總用地面積29110.34平方米,總建筑面積45654.99平方米,其中地上建筑面積39003.46平方米,地下建筑面積6651.53平方米,建筑基底面積12380.66平方米,容積率1.34,建筑密度42.5%,綠地率34.7%,機動停車位121輛,非機動停車位195輛。項目建設日產400千克黃金及日產1000千克白銀精煉廠及其附屬設施、建設檢測中心(銷售展示中心)、綜合辦公大樓、廣場、道路、停車場及其配套設施。
調整后規劃指標:項目規劃總用地面積29110.34平方米,總建筑面積45905.41平方米,其中地上建筑面積39009.46平方米,地下建筑面積6895.95平方米,容積率1.34,建筑密度42.5%,綠地率35%,機動停車位121輛,非機動停車位117輛。項目建設綜合樓、檢測車間、精煉車間、甲類倉庫、丁類倉庫、廣場、道路、停車場及其配套設施。
指標對比說明:項目規劃總用地面積不變,總建筑面積增加250.42平方米,其中地上建筑面積增加6平方米,地下建筑面積增加244.42平方米,容積率不變,建筑密度不變。
五、公示時間:2025年3月10日-2025年3月18日,共7個工作日。
六、公示單位: 阿拉善左旗自然資源局
聯系電話:0483-8229711(國土空間規劃室)
在公示期間,若有異議,可電子郵件、書面方式我局反映,公示反饋意見上請留下聯系方式以便及時溝通。
附圖:



