阿拉善左旗自然資源局內蒙古中平房地產開發有限責任公司中平?壹號院小區建設項目申請調整規劃設計方案公示
為了充分發揮市民在城鄉規劃管理中的作用,實施陽光規劃,提高規劃的透明度,維護市民對城鄉規劃的知情權、監督權,提高城鄉規劃水平及公眾參與程度。依據《中華人民共和國城鄉規劃法》第五十條在選址意見書、建設用地規劃許可證、建設工程規劃許可證或者鄉村建設規劃許可證發放后,因依法修改城鄉規劃給被許可人合法權益造成損失的,應當依法給予補償。經依法審定的修建性詳細規劃、建設工程設計方案的總平面圖不得隨意修改;確需修改的,城鄉規劃主管部門應當采取聽證會等形式,聽取利害關系人的意見;因修改給利害關系人合法權益造成損失的,應當依法給予補償。2025年3月21日15:19時在阿拉善左旗自然資源局三樓會議室公開舉行中平?壹號院小區建設項目申請調整規劃方案聽證會,此次聽證會各方無異議,均同意內蒙古中平房地產開發有限責任公司中平?壹號院小區建設項目規劃方案調整,現將調整方案公示如下:
一、項目名稱:中平?壹號院小區建設項目申請調整規劃設計方案事宜
二、建設位置:位于阿拉善左旗環城南路與和碩特路交叉口東南140米。
三、建設單位:內蒙古中平房地產開發有限責任公司
四、規劃調整的主要內容:
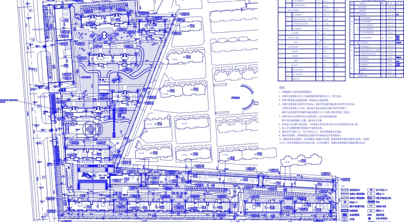
原審批規劃指標:規劃用地面積49945.99平方米,總建筑面積124700.33平方米,地下室建筑面積35727.79平方米,地面以上建筑面積88972.54平方米,容積率1.78,建筑基底總面積12099.04平方米,建筑密度24.22%,綠地面積14986.54平方米,綠地率30.01%,小車泊車位784個。其中住宅用地總平面經濟技術指標規劃用地面積46496.92平方米,總建筑面積111848.8平方米,地下室建筑面積35727.79平方米,地面以上建筑面積76121.01平方米,建筑基底總面積10147.93平方米;商業用地總平面經濟技術指標規劃用地面積3449.07平方米,總建筑面積12851.53平方米,建筑基底總面積1951.11平方米。
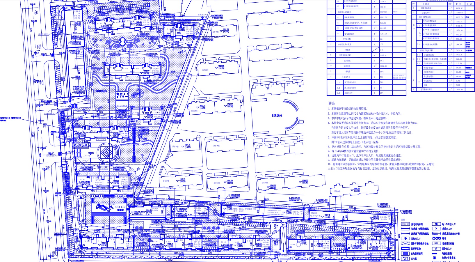
調整后規劃指標:規劃用地面積49945.99平方米,總建筑面積116916.49平方米,地下室建筑面積30685.64平方米,地面以上建筑面積86230.85平方米,容積率1.73,建筑基底總面積11734.85平方米,建筑密度23.50%,綠地面積14986.54平方米,綠地率30.01%,小車泊車位784個。其中住宅用地總平面經濟技術指標規劃用地面積46496.92平方米,總建筑面積104064.96平方米,地下室建筑面積30685.64平方米,地面以上建筑面積73379.32平方米,建筑基底總面積9783.74平方米;商業用地總平面經濟技術指標規劃用地面積3449.07平方米,總建筑面積12851.53平方米,建筑基底總面積1951.11平方米。
總指標對比說明:規劃用地面積不變,總建筑面積減少7783.84平方米,地下室建筑面積減少5042.15平方米,地面以上建筑面積減少2741.69平方米,容積率降低0.05,建筑基底總面積減少364.19平方米,建筑密度降低0.72%,綠地面積、綠地率、小車泊車位不變。其中住宅用地總平面經濟技術指標規劃用地面積不變,總建筑面積減少7783.84平方米,地下室建筑面積減少5042.15平方米,地面以上建筑面積減少2741.69平方米,建筑基底總面積減少364.19平方米;商業用地總平面經濟技術指標不變。
具體局部規劃調整說明:
1.6#樓原規劃寬12.9米、長61.72米,調整后寬12.9米、長61.72米;6#樓原規劃建筑面積8039.29平方米調整后為7329.08平方米,減少710.21平方米;7#樓原規劃寬12.4米、長58.12米,調整后寬12.9米、長58.12米;原規劃建筑面積7226.28平方米調整后為6596.84平方米,減少629.44平方米;8#樓原規劃寬12.4米、長58.12米,調整后寬12.9米、長58.12米;原規劃建筑面積7562.30平方米調整后為7078.16平方米,減少484.14平方米;9#樓原規劃寬12.4米、長58.12米,調整后寬12.9米、長57.92米;原規劃建筑面積6890.30平方米調整后為6501.11平方米,減少389.19平方米;10#樓原規劃寬12.4米、長58.12米,調整后寬12.9米、長58.12米;原規劃建筑面積6890.30平方米調整后為6361.59平方米,減少528.71平方米。
2.原規劃7#與8#住宅樓之間的地下車庫汽車坡道調整后由西側市政道路直接進入;調整后6#樓南側增加地下車庫汽車坡道。
3.原規劃7#與8#住宅樓之間的距離56.37米,現調整后55.39米,間距減小0.98米,7#樓日照分析滿足規范要求;原規劃9#住宅樓與世紀陽光城原有1#樓之間的距離55.68米,調整后55.17米,間距減小0.51米,世紀陽光城原有1#樓日照分析滿足規范要求;原規劃10#住宅樓與世紀陽光城原有2#樓之間的距離55.38米,調整后54.86米,間距減小0.52米,世紀陽光城原有2#樓日照分析滿足規范要求;原規劃10#住宅樓與世紀陽光城原有8#樓之間的距離54.13米,調整后53.56米,間距減小0.57米,世紀陽光城原有8#樓日照分析滿足規范要求。
五、公示時間:2025年3月21日-2025年3月31日,共7個工作日。
六、公示單位: 阿拉善左旗自然資源局
聯系電話:0483-8229711(國土空間規劃室)
在公示期間,若有異議,可電子郵件、書面方式我局反映,公示反饋意見上請留下聯系方式以便及時溝通。
附圖:



